Egy birtok, három villa, tizennégy ingatlan...

A Helyismeret wikiből
Írta: Schildmayer Ferenc

A címadó birtok a mai Veszprémi út és a Szabadság út közötti területen feküdt, és a szomszédos Vörösberény faluval volt határos. Történetét vizsgálva láthatóvá lesz az a folyamat, amelyik Almádiban az utolsó száz év alatt lezajlott.

Kiindulási adatunk most is az 1858. évi kataszteri felmérés, amiben a következőket rögzítették:

3986 helyrajzi szám lakóépület (64 sz.) 37 □-öl
3987 rét 191 □-öl
3987 hrsz. szőlő gyümölcsfákkal 1 k. hold 1017 □-öl

birtokos Herczegh Ferenc vörösberényi lakos. Az 1859-ben felfektetett szentkirályszabadjai telekkönyvben 1407 hrsz. alatt „Szőlő pincével a berényi dűlőben” néven szerepel, nagysága 1 k. hold 1281 négyszögöl, birtokos Herczegh Ferenc földműves vörösberényi lakos. 1869. augusztus 27-én kelt bejegyzés szerint Herczegh (alsó) Ferenc a tulajdonos öröklés címén.

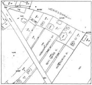
1858 évi térkép részlete

Az 1882. augusztus 27-én megnyitott Almádi telekkönyv adatai a következők: „293 hrsz. Szőlős pincével a kövesi dűlőben 1 k. hold 1281 négyszögöl” tulajdonos változatlanul Herczegh (alsó) Ferenc vörösberényi lakos, akitől az 1895. április 27-én kelt bejegyzés szerint Herczegh Gábor örökölte meg a birtokot. Az 1895. december 10-én kelt bejegyzés szerint 1 k. hold 891 négyszögölre igazították ki a birtok nagyságát, „községi bizonyítvány”-ra hivatkozva. Ugyanezen a napon jegyezték be a birtok parcellázását és eladását a következők szerint.

1. hrsz. 293/a „Szőlő a köves dűlőben” 720 n.öl, tulajdonos Brenner Lőrinc, vételár 542 frt. 12 krajcár osztrák értékű.

2. hrsz. 293/b Szőlő pincével a kövesi dűlőben” 679 n.öl, tulajdonos Edvi Illés Károly és neje Verbói Szluha Mária, vételár 667 frt. 89 krajcár osztrák értékű.

3. hrsz. 293/c Szőlő a kövesi dűlőben” 764 n.öl, tulajdonos Edvi Illés Sándor és neje Szőlősi Ilona, vételár 582 frt. 99 krajcár osztrák értékű.

4. hrsz. 293/d „Szőlő a köves dűlőben 328 n.öl, maradt Heczegh Gábor tulajdonában.

1923 évi térkép részlete

Ettől kezdve szükségszerű külön-külön áttekinteni a birokok történetét.

1. sz. alatti ingatlant Brenner Lőrinc 1899. szeptember 6-án eladta 3250 frt.-ért Steer Lajos és neje torbágyi lakosoknak. Egyúttal feljegyezték 1899. szeptember 3.-i dátummal a rajta épült házat, amit nyilván Brenner Lőrinc veszprémi építőmester épített. Az épület ma a Szabadság u. 15 sz. alatt található. Többszöri tulajdonos változás után 1918. december 31-én Koszorús Sándor és neje Johanidesz Jozefa vették meg, és még 1923-ban is birtokolták.

2. sz. birtokon Edvi Illés Károly a régi pincét felhasználva megépítette az „Illés nyaraló”-t. Építési idejét nem jegyezték be a telekkönyvbe, viszont egy 1905-ben kiadott képes levelezőlapon látható az épület. Valószínűen a századforduló körül építhették. Többszöri tulajdonos változás történt öröklés és eladás folytán, végül 1923. április 13-án Matzer Endre és Matzer Karolina vették meg 5,900.000 koronáért.

3. sz. birtokot 1904. május 1-én 16 000 koronáért dr. Hornyánszky Gyula budapesti ügyvéd és neje Edvi Illés Margit vették meg. Épületről nem esik szó a telekkönyvben, de a vételárból következően már készen volt, amit egyébként a fentebb említett képes levelezőlap is ábrázol. 1924-ben még változatlanul dr. Hornyánszky Gyula a tulajdonos.

1923. május 7.-én történt telekkönyvi bejegyzés szerint az 1895. december 10-én történt parcellázáskor Herczegh Gábor nevén maradt 328 n. öl nagyságú területet az 1.2. 3. alatt felsorolt birtokok tulajdonosai 109, 104 és 115 n. öl felosztásban megvették és telekkönyvileg is saját birtokukhoz csatolták. Ezt megelőzően a dr. Hornyánszky féle telekből 117 n. öl nagyságú rész 1918-ban 8000 koronáért eladásra került.

Felmerülhet az olvasóban, hogy 1923-1924 után miért nem folytatódik tovább az egyes birtokok története. Ennek az oka az 1920-as években megindult további telekosztások és nyaralóépítések nagy száma, ami már nem fér bele egy rövid ismertetésbe. Ezt jól illusztrálja az a mai adat, hogy az 1895-ben még egységes birtok területén a következő ingatlanok találhatók. Veszprémi út 1,3,5,7. 9. 11, 13. 15/a és 15/b, valamint a Szabadság út 7,9, 11, 13, és 15. A parcellázás óta eltelt 103 év alatt egy nem túl nagy szőlőbirtokból 14 ingatlan jött létre.

A vázlatosan ismertetett birtoklástörténeti adatsor jellemzően mutatja be Almádi teljes területén végbement - mai szemmel tekintve nem túl szerencsés - telekmegosztási folyamatot, ami végső soron a mai településképet eredményezte.

Forrás

Új Almádi Újság[1] 1998. (10. évf.) 12. sz. 2. p.

Külső hivatkozás

  1. Új Almádi Újság honlapja